
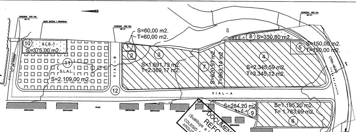
COIN, MALAGA… ALERTA INVERSORES Y CONSTRUCTORES, Gran Solar ubicado en la localidad de Coín,A construir: El número de plantas es de Bajo (destinados a locales) Primera, Segunda, Tercera y Planta Áticos. (PB+1+2+3+ATICOS), con un total de 22 viviendas más locales comerciales en Planta BajaEste sector pertenece a la ampliación del Término Municipal de Coín, con un amplio y fructífero desarrollo de la localidad y muy bien comunicado con respecto a la entrada y salida hacia la Ciudad de Málaga, Cártama, Alhaurín de la Torre, Ojén y Marbella a unos 23 kms. Se han construido 2 edificios y este solar corresponde al tercer edificio, cuenta con 1.195,20m2 de parcelas, está calificado en terreno urbano en Aprobación Final por el Ayuntamiento de Coín. Se ha elaborado y finalizado el correspondiente Plan Especial, Proyecto de Reparcelación y con aprobación en Proyecto de Urbanización. Todos los gastos, honorarios, impuestos de inversión en el plano de Urbanización han sido sufragados en su totalidad hasta la fecha.Tiene un techo edificable sobre rasante de 1.783,99m2, y bajo rasante destinado a aparcamiento y trasteros de 1.195,20m2El número de plantas es de Bajo (destinados a locales) Primera, Segunda, Tercera y Planta Áticos. (PB+1+2+3+ATICOS), con un total de 22 viviendas más locales comerciales en Planta Baja. Se adjuntan planos identificativos de las fincas proyectadas, cuyo proyecto se encuentra visado y con Licencia Municipal de Obras.El solar se encuentra libre de cargas y gravámenes.En este precio está incluida la licencia municipal de obras, los honorarios de proyecto básico y ejecución y demás gastos de Urbanización. Estamos abiertos a escuchar ofertas.También se puede contemplar la posibilidad de la venta incluyendo permuta, de modo que el inversor desembolsaría un precio sensiblemente menor y aportaria algunas viviendas con sus correspondientes plazas de garaje a los vendedores~

A veces es buena idea obtener un informe del valor de tu casa incluso si no planeas venderla.
Tel: +34 951 82 01 12